Rotonda Villapia: la Giunta di Parabiago approva il progetto esecutivo che realizzerà entro giugno 2020.
Rotonda Villapia: l’iter
A seguito della richiesta promossa dall’Amministrazione comunale a Città Metropolitana, il comune di Parabiago ha ottenuto la concessione per la gestione del tratto di strada provinciale interessato alla realizzazione della rotatoria in località Villapia. Con questa autorizzazione l’Amministrazione Cucchi ha potuto attivarsi e accelerare i tempi di progettazione, approvazione del progetto esecutivo e realizzazione dell’intervento anticipandolo al 2019 con l’impegno di terminare i lavori entro il 30 giugno 2020.
“Un intervento necessario”
Spiega il sindaco Raffaele Cucchi: “La realizzazione della rotatoria su viale Repubblica è un intervento necessario per agevolare l’entrata e l’uscita degli abitanti della frazione evitando spiacevoli incidenti che, a volte sono stati anche importanti. Nel programmare e progettare quest’opera, abbiamo accorpato al progetto esecutivo anche le opere complementari alla rotatoria e che riguardano la realizzazione della pista ciclabile su viale Repubblica. Inoltre, per limitare i costi a carico del comune, abbiamo partecipato al bando regionale sulla messa in sicurezza delle strade. Confidiamo di ottenere un finanziamento regionale in merito che possa diminuire i costi a carico della comunità parabiaghese. Non è stato semplice raggiungere questi obiettivi in così poco tempo -conclude il Sindaco- lo abbiamo potuto fare grazie alla professionalità e competenza dei dipendenti comunali e alla caparbietà della mia squadra di Giunta che ringrazio”.
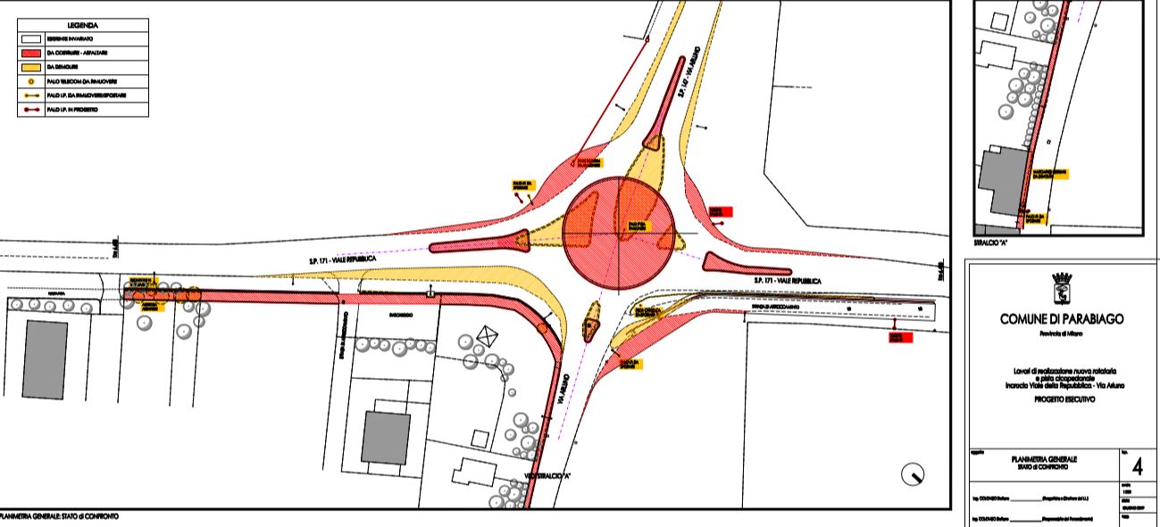
I costi e il progetto
Il costo complessivo degli interventi ammonta a 555.000 euro e prevede la realizzazione della rotatoria, della pista ciclopedonale in banchina adiacente alla rotatoria, ma anche le opere di completamento connesse agli interventi come lo spostamento dei sottoservizi esistenti e realizzazione sottoservizi per lo smaltimento delle acque meteoriche; realizzazione dell’impianto di illuminazione pubblica; realizzazione di un nuovo corpo stradale dell’infrastruttura e delle relative aiuole direzionali e spartitraffico e sistemazione a verde dell’aiuola centrale. I lavori verranno assegnati a breve tramite gara d’appalto e realizzati entro il 30 giugno 2020.
LEGGI ANCHE: Rotonda in viale Repubblica: la Giunta anticipa i tempi

