Prosegue il percorso verso il nuovo supermercato a Cisliano: quasi ultimata la parte burocratica. Dopo l’approvazione del Programma integrato di intervento in variante urbanistica che prevede la realizzazione di 1.500 metri quadrati commerciali, verrà firmata la convenzione tra il Comune e l’operatore.
Ora il permesso per costruire
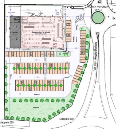
Questo consentirà il rilascio del permesso di costruire, che porterà all’inizio dei lavori per la costruzione della struttura, la quale si troverà a ridosso della strada provinciale consentendo così un facile accesso sia ai residenti di Cisliano sia agli automobilisti che transitano per la SP 114.
Una nuova rotatoria
«Il progetto prevede anche la realizzazione di una nuova rotatoria di accesso al comparto commerciale all’incrocio di via Refaldi con via Leonardo da Vinci per facilitare l’accesso degli utenti, la realizzazione di nuovi parcheggi privati da asservire a uso pubblico completi di marciapiedi, spazi di sosta e di manovra e di tutti i servizi in sottosuolo e dell’impianto di pubblica illuminazione e la realizzazione di un’area verde con fascia di vegetazione lungo la strada provinciale per la mitigazione delle interferenze reciproche con il sistema viabilistico» spiega l’assessore ai Lavori pubblici Andrea Sangiacomo.
«L’obiettivo di questo progetto è dotare Cisliano di un supermercato di dimensioni contenute: questo ci permetterà di completare l’offerta di servizi del paese e dare così anche risposta alle numerose richieste fatte nel corso degli ultimi anni dai cittadini, spesso costretti a prendere l’auto e recarsi nei paesi vicini» spiega l’assessore al Commercio Viviana Colombo.
Le parole del sindaco
Soddisfatto del risultato anche il primo cittadino:
«Un progetto molto importante per Cisliano: era parte del nostro programma elettorale e renderà di fatto il paese autonomo per quanto riguarda l’offerta di beni di prima necessità, facilitando anche chi non può spostarsi con l’auto come per esempio gli anziani» ha commentato il sindaco Ilaria Mora.
